시월이 어느새 마지막 한주만 남기고 있네요~~~
가을은 너무 짧아서 아쉬운것 같습니다...
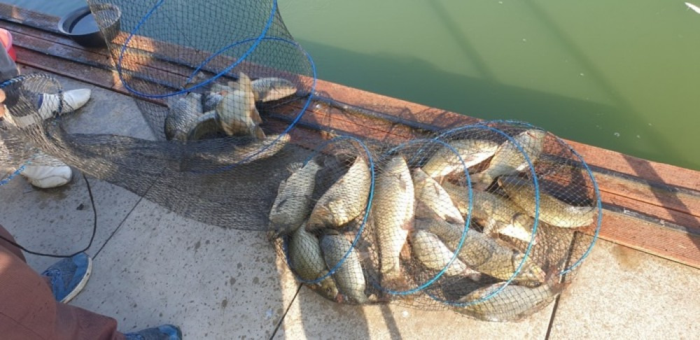
지난주에 상류권으로 이동 배치해 놓은
수상좌대쪽에서 조황이 좋았던 주말이었네요~~~
깊어가는 가을 정취 만깍하는
한주 되시길 바랍니다!!!
수상좌대 예약 조황 문의 041 533 6315































LIST
'조황정보' 카테고리의 다른 글
| 꽝 없고 짐빵 없는 수도권 무료 낚시터!! 늦으면 사라 질 수 도 있습니다!! (0) | 2025.10.29 |
|---|---|
| 아산 죽산지 10/29일 잔교 비닐공사와 화요일 조황 (0) | 2025.10.29 |
| 아산 죽산지 10/28일 좋은 조황이 계속 되고 있는 월요일 (0) | 2025.10.28 |
| 아산 죽산지 10/27일 대박도 터지고 좋은 조황을 보인 일요일 (0) | 2025.10.27 |
| 낚시 편한 방파제에서 최고급 생선까지 나오다니! 여기서 차박하고 먹고 놀아보자! (0) | 2025.10.26 |
| 이게 있을줄 상상도 못하고 결국 꽝자리 앉았는데... (0) | 2025.10.26 |
| 4짜중반 잡고 쌍욕을 박아버리네 보령 5짜터에 이단아 등장! (0) | 2025.10.26 |