어느듯 11월이 마지막주에 다달아 있네요
세월이 정말 빨리 자나가는듯 합니다!!!
낚시터 늦가을 풍경이 쓸쓸하네요~~~
다음주부터는 겨울 차비를 하려고 합니다
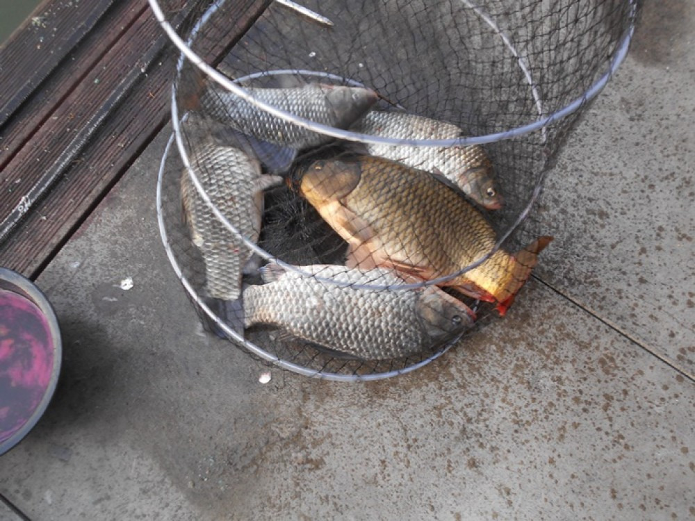
주말과 오늘 아침 조황 사진 올려드립니다
11월 마지막 한주 알차게 보내시기 바랍니다!!!
감사합니다^^
수상 좌대 예약 조황 문의 041 533 6315
메트리스 청소, 카페트청소, 소파 청소를 해 드립니다.
유리창청소

















LIST
'조황정보' 카테고리의 다른 글
| 초대박 마릿수 타작 나와도 너무 나와버립니다 (0) | 2025.11.26 |
|---|---|
| 붕어낚시 수도권 최고 무료 낚시터 부들속에 붕어가 가득 들어 왔다 (0) | 2025.11.26 |
| 아산 죽산지 11/26일 비온후 화요일 조황 입니다 (0) | 2025.11.26 |
| 회변항 갑오징어 졸업식 !! 이런 경험 처음이야... (0) | 2025.11.25 |
| 태안_ 인평지 무넘이. 봄철 마릿수 4짜~! (0) | 2025.11.25 |
| 아산죽산지 11/25일 월요일 잔교와 상류권 조황 (0) | 2025.11.25 |
| 대낮부터 장대를 휘게 만드는 붕어. 줄소리도 잘내고 힘도 최상!! (0) | 2025.11.24 |